Automated Sciences LLC | Weather Satellite Systems, Software, and Services

Automated Sciences: Weather Satellite Systems, Software, and Services
Home | Products | Services | News | Image Gallery | FAQs | Ordering | Contact Us

Image Gallery

The following images were intentionally not all created in the same way or using the same settings, in an effort to show some of the varied capabilities of the Rapid Visualization Tool Workstation (RVT) as a product generation tool. With some of the images, high-resolution loops or animations are available. These high-resolution loops and animations may take a few minutes to fully load and require your browser to have the Java plug-in. Most users have the Java plug-in by default. If you have any questions about the RVT or exporting images, please contact us.

For a larger view of any of the thumbnails, click on the images below.

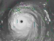
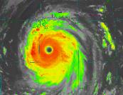
Hurricane Katrina, 8.28.2005

Hurricane Katrina devastated Louisiana and other parts of the United States in August of 2005, killing over a thousand people and causing billions of dollars worth of damage. The views of this category 5 hurricane are from the RVT Workstation.

Hurricane Katrina in the Visible Channel

Hurricane Katrina in the Infrared Channel

Hurricane Katrina in the Water Vapor Channel

The Visible Channel view of Hurricane Katrina.

The Infrared Channel, shown with color enhancement.

The Water Vapor Channel, shown with standard settings.


Rainfall Rate of Hurricane Katrina

Height Relief of Hurricane Katrina in the Visible Channel

Looking West at Hurricane Katrina, in the Visible Channel

The 3 Hour Rainfall Rate derived channel, showing estimated precipitation intensities of the hurricane.

The Visible Channel displaying a close-up view of the hurricane's eye, shown with relief. Click on the image to view the contrast between images with and without relief.

The Visible Channel, looking west into the Gulf of Mexico at an altitude of 750 km and a 46 degree viewing angle.


Looking North at Hurricane Katrina in the Visible Channel

The Sea Surface Temperature Channel

Looking South at Hurricane Katrina in the Visible Channel

The Visible Channel at an altitude of 900 km and a 40 degree angle.

The Sea Surface Temperature (SST) Channel, showing temperatures on the ocean's surface for areas not obstructed by clouds (shown in white). The deeper red is due to the sun's overhead position and Katrina is in the upper right.

A view of Katrina from the Southern US, looking south. Such a view is particular impressive when looping image data of the oncoming storm.


Animation of Hurricane Katrina

Animation of Hurricane Katrina

Animation of Hurricane Katrina

An animation of zooming in on Hurricane Katrina. While we significantly compressed the images, this animation through space may still take several minutes to load.

An animation of flying over Hurricane Katrina. While we significantly compressed the images, this animation through space may still take several minutes to load.

An animation of flying south towards Hurricane Katrina. While we significantly compressed the images, this animation through space may still take several minutes to load.



Rapid Visualization Tool (RVT) Features

The Rapid Visualization Tool (RVT) is a powerful piece of software to work with and display image data. More information and specifications for the RVT are available on our Products page.

User Defined Overlays

Hurricane Dennis in the Visible Channel

Hurricane Dennis in the Infrared Channel

A user-defined overlay, showing major Canadian cities and highways. User-defined overlays may include text, lines, and points in any color.

The Visible Channel, showing albedo values of Hurricane Dennis from July 2005. The albedo value to color mapping is adjustable.

The Infrared Channel with a colored enhancement, showing temperature values. The temperature value to color mapping is adjustable.


Hurricane Dennis in the Water Vapor Channel

Cloud Motion Vectors

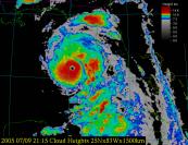
Hurricane Dennis in the Cloud Height Channel

The Water Vapor Channel with standard settings, showing cloud top temperatures. The temperature value to color mapping is adjustable.

The Cloud Motion Vector Channel, displaying estimated cloud motion direction and magnitude.

The Cloud Height Channel, displaying cloud heights in km, with an adjustable scale.


The Rainfall Rate of Hurricane Dennis

The Sea Surface Temperature Channel

Looking northwest at Hurricane Dennis in the Visible Channel

The Rainfall Rate Channel, showing estimated rainfall in mm/hr, with an adjustable color to rainfall mapping.

The Sea Surface Temperature (SST) Channel, showing data for regions not blocked by clouds (shown in white).

The Visible Channel, looking in a NW direction at Hurricane Dennis.



Tropical Cyclone Mala, 4.28.2006

Tropical Cyclone Mala, the strongest tropical cyclone in northern India's 2006 season, formed in the Bay of Bengal in February 2006, before heading towards Myanmar. The storm reached a minimum pressure of 916 mb, and achieved sustained peak winds at 210 knots. The views of this storm are from FY-2 data, shown on the RVT Workstation.

Tropical Cyclone Mala in the Visible Channel, from FY-2

Tropical Cyclone Mala in the Infrared Channel, from FY-2

Tropical Cyclone Mala in the Infrared Channel with color enhancements, from FY-2

The Visible Channel, at an altitude of 4000km.

The Infrared Channel, with the default gray scale color palette.

The Infrared Channel, with color enhancement.


Tropical Cyclone Mala in the Water Vapor Channel, from FY-2

Tropical Cyclone Mala in the Cloud Height Channel, from FY-2

The Rainfall Rate of Tropical Cyclone Mala, from FY-2 data

The Water Vapor Channel, showing cloud top temperatures.

The Cloud Height Channel, providing estimated heights for the upper layers of clouds.

The Rainfall Rate Channel, showing some regions with precipitation in excess of 65 mm/hr.


Tropical Cyclone Mala in the Visible Channel, from FY-2

Tropical Cyclone Mala in the Visible Channel, from FY-2

Tropical Cyclone Mala in the Visible Channel, from FY-2

The Visible Channel, showing the cyclone approaching land at a 50 degree viewing angle.

The Visible Channel, looking into the Bay of Bengal at the approaching storm.

An animation flying north, towards the storm in the Bay of Bengal. While we significantly compressed the images, this animation through space may still take several minutes to load.



MTSAT Storm Imagery, Including Tropical Storm Banyan, 7.25.2005

On July 25, 2005 Tropical Storm Nalgae was dissipating while Tropical Storm Banyan was approaching Japan, and there were numerous smaller storms in the South Pacific. This MTSAT imagery shown here was exported from the RVT Workstation.

Tropical Storm near Japan in the Visible Channel, from MTSAT

Tropical Storm near Japan in the Infrared Channel, from MTSAT

Tropical Storm near Japan in the Water Vapor Channel, from MTSAT

The Visible Channel view of Tropical Storm Banyan (left) and the remnants of Tropical Storm Nalgae (upper right).

The Infrared Channel view of Tropical Storm Banyan.

The Water Vapor Channel view of Banyan.


Storms in the South Pacific in the Visible Channel, from MTSAT

Storms in the South Pacific in the Visible Channel, from MTSAT

Storms in the South Pacific in the Infrared Channel, from MTSAT

An animation of flying over Nalgae, then Banyan. While we significantly compressed the images, this animation through space may still take several minutes to load.

The Visible Channel view of storms in the South Pacific.

The Infrared Channel view of storms in the South Pacific.


The Rainfall Rate of Storms in the South Pacific, from MTSAT data

Storms in the South Pacific in the Cloud Height Channel, from MTSAT

Storms in the South Pacific in the Infrared Channel, from MTSAT

The Rainfall Rate Channel giving precipitation estimates for storms in the South Pacific.

The Cloud Height Channel view of storms in the South Pacific.

An animation of flying from east to west, observing storms in the South Pacific. While we significantly compressed the images, this animation through space may still take several minutes to load.






74 River Road Preston, CT 06365 USA
860.886.8368
info@automatedsciences.com

© 2012 Automated Sciences, LLC | Conditions and Terms of Use

free hit counter